



| 2700 BLK Burnt Valley Rd, Chewelah, WA 99109 | |||||||||||
|---|---|---|---|---|---|---|---|---|---|---|---|
| Closed | MLS #39373 | ||||||||||
| Sold for $99,950 on Apr 19, 2021 | |||||||||||
| 40.00 acres | |||||||||||
| Surface waterfront | |||||||||||
| Stream/Creek | |||||||||||
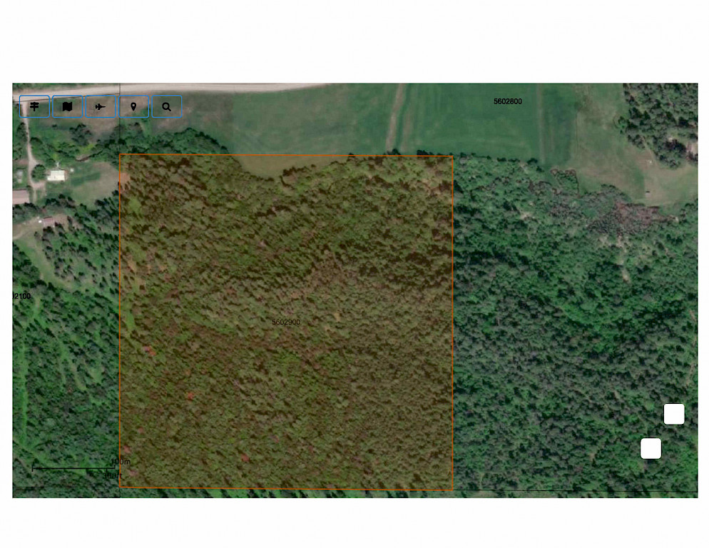
Heavily timbered 40 acre parcel bordering forest service grounds just minutes North of Chewelah. South fork of Chewelah Creek meanders in and out of the Northern portion of the 40. There is a 40' easement on paper however the road is not developed and my be challenging to develop.

To learn more about similar properties, contact Darren Crossman. Darren has over twenty years of experience in helping buyers find the perfect properties for them.
Call Darren at (509) 675-0148 or enter your phone number or email address for a prompt response.