

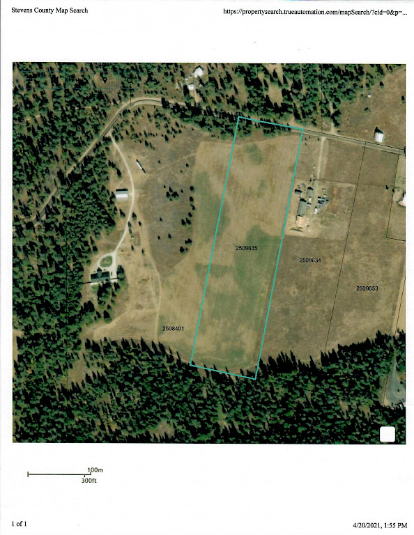
| NKA Lumberg Rd, Springdale, WA 99173 | |||||||||||
|---|---|---|---|---|---|---|---|---|---|---|---|
| Closed | MLS #39632 | ||||||||||
| Sold for $65,000 on May 17, 2021 | |||||||||||
| 10.00 acres | |||||||||||
Very nice level 10 acres. Like the idea of solar? Excellent exposure. Currently used as a highly productive alfalfa field. Plenty of room to build & keep the hay or turn into quality pasture ground. Neighboring wells are strong producers.

To learn more about similar properties, contact Darren Crossman. Darren has over twenty years of experience in helping buyers find the perfect properties for them.
Call Darren at (509) 675-0148 or enter your phone number or email address for a prompt response.